8 Station Road
Narborough
Leicestershire
LE19 2HR
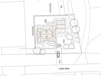
A rare and exciting opportunity to acquire an exceptional building plot extending to approximately 0.25 acres, complete with outline planning permission for the construction of an impressive detached home.
Set within the highly regarded South Leicestershire village of Littlethorpe, this prime parcel of land offers the perfect balance of countryside charm and connectivity. The location is renowned for its strong sense of community, access to reputable local amenities, and excellent transport links to major road networks, making it ideally suited for modern family living.
This is a truly enviable opportunity for discerning purchasers to create a substantial home tailored entirely to their own vision and lifestyle, within a desirable village setting.
Opportunities of this calibre are seldom available, particularly with planning permission already in place, making this an extremely appealing proposition.
Further details can be obtained from the Blaby District Council planning portal, using ref 25/0190/OUT.
If you are obtaining a mortgage on this property, one of our qualified mortgage consultants will contact you to qualify the offer on behalf of our vendors.
In order to satisfy money laundering regulations Carlton Estates are required to carry out checks to verify each parties identity.
Independent Mortgage advice is available through this office. If you wish to speak to our Independent Financial Adviser, please call our office to arrange an appointment.
IF YOU ARE THINKING OF SELLING YOUR PROPERTY
LET OUR LOCAL KNOWLEDGE AND EXPERIENCE WORK FOR YOU!
Carlton Estates are an independent and family run estate agency specialising in the local market, having a reputation for quality, service and customer care.
We value your business and understand that selling your home is a major decision.
Our guarantee to you is that through our professionalism and attention to detail in every respect, we will endeavor to ensure the entire process is as straight forward and hassle free as possible.
10 GOOD reasons to choose Carlton Estates:
* THE local agent
* FREE market appraisal
* REALISTIC valuations based on local market knowledge
* EXTENSIVE advertising for maximum exposure
* COMPETITIVE fees
* REGULAR client feedback
* MORTGAGE advice available
* NO sale no fee
* ACCOMPANIED viewing's where necessary
* INTERNET advertising to include, Rightmove, ONTHEMARKET, FindaProperty and our own www.carltonestates.co.uk
CALL US NOW ON 0116 284 9636
While every reasonable effort is made to ensure the accuracy of descriptions and content, we should make you aware of the following guidance or limitations.
(1) MONEY LAUNDERING REGULATIONS Intending purchasers will be asked to produce identification documentation at a later stage and we would ask for your cooperation in order that there will be no delay in agreeing the sale.
(2) These particulars do not constitute part or all of an offer or contract.
(3) The measurements indicated are supplied for guidance only and as such must be considered incorrect.
(4) Potential buyers are advised to recheck the measurements before committing to any expense.
(5) Carlton Estates (Narborough) Ltd has not tested any apparatus, equipment, fixtures, fittings, or services and it is in the buyer's interests to check the working condition of any appliances.
MONDAY - FRIDAY : 9:00am - 17:30pm SATURDAY : 10:00am - 14:00pm
Although these particulars are thought to be materially correct their accuracy cannot be guaranteed and they do not form part of any contract.
Property data and search facilities supplied by www.vebra.com