48 Granby Street
Leicester
LE1 1DH
To be sold via NATIONAL TIMED ONLINE AUCTION
BIDDING OPENS: 13:00 on Monday 24th November 2025
AUCTION ENDS: 13:00 on Tuesday 25th November 2025
Visit auctionhouse.co.uk/leicestershire
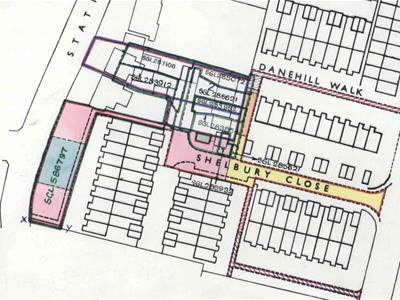
The site of Shelby Close, Danehill Walk, and land to the South East side of, Station Road,
Sidcup DA14 4BE
Parcels of amenity land for sale by auction. Title number SGL266391.
Please see legal pack for further details.
Although these particulars are thought to be materially correct their accuracy cannot be guaranteed and they do not form part of any contract.
Property data and search facilities supplied by www.vebra.com