9 Waterloo Street
Clifton
Bristol
Avon
BS8 4BT
Hollis Morgan – OCTOBER LIVE ONLINE AUCTION – A Freehold STONE FARMHOUSE ( 1114 Sq Ft ) now in need of MODERNISATION with 2.36 acre PLOT and DEVELOPMENT POTENTIAL for 2 x NEW BUILDS stc
*** SOLD @ OCTOBER LIVE ONLINE AUCTION ***
GUIDE PRICE £235,000 +++
SOLD @ £487,000
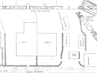
ADDRESS | Stonehouse, Kenn Street, Kenn, North Somerset BS21 6TN
Lot Number 2
*** PLEASE NOTE NEW AUCTION START TIME - NOW 12:00 ***
The Live Online Auction is on Wednesday 15th October 2025 @ 12:00 Noon
Registration Deadline is on Friday 10th October 2025 @ 16:00
The Auction will be streamed LIVE ONLINE via the Hollis Morgan website & you can chose to bid by telephone, proxy or via your computer.
Registration is a simple online process – please visit the Hollis Morgan auction website and click “REGISTER TO BID”
On this occasion the vendors will NOT be considering pre auction offers.
A Freehold semi detached stone farm house ( 1114 Sq Ft ) with accommodation arranged over two floors.
The property occupies a mature 2.36 Acre plot with vehicular access and off street parking.
Please note the property has been unoccupied for circa 25 years.
For clarity the lot includes parts A,B & C on the plan and NOT part D | There is no right of way for part D over A, B & C.
Sold with vacant possession
Tenure - Freehold
Council Tax - G
EPC - D
FARMHOUSE FOR MODERNISATION
The property now requires complete modernisation but has scope for a fine family home with extensive gardens in this sought after location just moments from the sought after seaside town of Clevedon.
There is potential to extend the property to both the side and rear plus into the attic subject to gaining the necessary consents.
We understand the property is not listed.
DEVELOPMENT | 2 X NEW BUILDS
We understand that in 2000 the vendor successfully applied for planning permission ( 00/P/0156/O ) for two residential semi-detached cottages.
We are informed the concrete footings were started and reserved matters ( 03/P/0369/RM ) submitted in Feb 2003.
We are unable to confirm if the consent is deemed live or extant - Interested parties must make their own investigations.
00/P/0156/O | Erection two semi detached cottages with garages
03/P/0369/RM | Submission of reserved matters for external appearance, landscaping and design for the erection of 2 semi-detached cottages pursuant to Outline Planning Permission no. 00/P/0156/O.
OVERAGE - REAR GARDEN
We have been informed that the area identified Plan Ref. C & D ( please refer to plan in details - we understand the overage does not include parts A & B ) is subject to an overage agreement which will be triggered if Planning permission ( in outline or full ) is granted in respect of the whole or part of the Property ( with the exception of buildings used for agricultural purposes ) or, permission is given to breach/ discharge/ modify or release any restrictive covenant that the Property was subject to at the time of the Deed of Partition dated 13 March 2000. The overage agreement will last for a period of 40 years ( expiring 31 March 2040 ). Payment following a triggering event should be made within 12 months immediately following the grant of any permission.
Please refer to online legal pack for further details.
Reference00/P/0156/O
Application ReceivedFri 28 Jan 2000
Application ValidatedFri 28 Jan 2000
AddressStone House, Kenn Street, Kenn, Clevedon, North Somerset, BS21 6TW
ProposalErection two semi detached cottages with garages
StatusDecided
DecisionApprove with Conditions
Decision Issued DateTue 28 Mar 2000
Appeal StatusNot Available
Appeal DecisionNot Available
Reference03/P/0369/RM
Application ReceivedThu 13 Feb 2003
Application ValidatedThu 13 Feb 2003
AddressStone House, Kenn Street, Kenn, Clevedon, North Somerset, BS21 6TW
ProposalSubmission of reserved matters for external appearance, landscaping and design for the erection of 2 semi-detached cottages pursuant to Outline Planning Permission no. 00/P/0156/O.
StatusDecided
DecisionApprove with Conditions
Decision Issued DateFri 28 Mar 2003
Appeal StatusNot Available
Appeal DecisionNot Available
Kenn Street is a quiet and sought after location within the village of Kenn, surrounded by open countryside. The village has a strong community spirit and an active social events diary with something for everyone. From this location, you can still easily reach amenities within Clevedon or Yatton. For commuters, you are an equal distance between a railway station and access to the M5 motorway. Nearby Clevedon is a popular Victorian seaside town overlooking the Severn Estuary, and just 13 miles from Bristol and 10 miles from Weston-super-Mare with good public bus links to both major towns. Popular features include Clevedon Pier, a grade 1 listed building, Clevedon sea front with pebbled beaches and a marine lake, ornamental gardens and a Victorian bandstand all within a 10 minute walk of each other. There are a selection of stylish cafes and restaurants situated next to the Pier and the town is also home to the Curzon cinema which is the oldest purpose built cinema in the world in working order. There is plenty of choice for shopping, both in Hill Road and at The Triangle, centred around the Victorian Clock Tower. Water sports are a feature of the local scene with clubs for canoeing and sailing as well as a variety of other sports such as cricket, rugby and football, as well as golf, bowling and riding. For walkers there are some fantastic routes with the Mendip Hills and vales of North Somerset famed for some of the loveliest walks in the region. World class fishing is offered at the nearby Chew Valley and Blagdon Lakes, and a number of well established equestrian centres are located nearby.
Heather Rogers
CRSB Law
01483 252525
Heather.Rogers@crsblaw.com
https://www.charlesrussellspeechlys.com/
EXTENDED COMPLETION
Completion is set for 8 weeks or earlier subject to mutual consent.
We have been informed by our client’s solicitors that the legal pack for this lot is now complete.
Should any last minute addendums occur you will be automatically notified by email.
If the vendors have indicated they are willing to consider pre-auction offers, now is the time to submit your offer by completing the pre-auction offer form.
VIEWINGS
Please submit a viewing request online and we will contact you to organise an appointment.
We will send you an email and text to confirm the appointment time and the full property address.
Viewings are supervised by a member of the Hollis Morgan Auction team who will meet you at the property.
MATERIAL INFORMATION
Information including utilities, Electricity supply, Water supply, Sewerage, Heating, Broadband, Mobile signal / coverage, Parking, Building safety, Restrictions and rights, Rights and easements, Flood risk, Erosion risk, Coastal erosion risk, Planning permission for proposal for development, Property accessibility / adaptations, Coalfield or mining area all of which will be supplied within the legal pack that can be accessed for free via the Hollis Morgan website or via your EIG account.
ONLINE LEGAL PACKS
Digital Copies of the Online legal pack can be downloaded Free of Charge.
Please visit the Hollis Morgan Website and select the chosen lot from our Current Auction List.
Press the GREEN button to "Download Legal Packs" For the first visit you will be required to register simply with your email and a password.
Having set up your account you can download legal packs or if they are not yet available, they will automatically be sent to you when we receive them.
You will be automatically updated by email if any new information is added.
There will be a note added to the list to confirm AUCTION PACK NOW COMPLETE when no further information is due to be added.
*** STAY UPDATED *** By registering for the legal pack we can ensure you are kept updated on any changes to this Lot in the build up to the sale.
BUYER’S PREMIUM
Please be aware all purchasers are subject to a £1,500 + VAT (£1,800 inc VAT) buyer's premium which is ALWAYS payable upon exchange of contracts whether the sale is concluded before, during or after the auction date.
GUIDE PRICE
An indication of the seller's current minimum acceptable price at auction. The guide price or range of guide prices is given to assist consumers in deciding whether to pursue a purchase. It is usual, but not always the case, that a provisional reserve range is agreed between the seller and the auctioneer at the start of marketing. As the reserve is not fixed at this stage and can be adjusted by the seller at any time up to the day of the auction in the light of interest shown during the marketing period, a guide price is issued. This guide price can be shown in the form of a minimum and maximum price range within which an acceptable sale price (reserve) would fall, or as a single price figure within 10% of which the minimum acceptable price (reserve) would fall. A guide price is different to a reserve price (see separate definition). Both the guide price and the reserve price can be subject to change up to and including the day of the auction.
RESERVE PRICE
The seller's minimum acceptable price at auction and the figure below which the auctioneer cannot sell. The reserve price is not disclosed and remains confidential between the seller and the auctioneer. Both the guide price and the reserve price can be subject to change up to and including the day of the auction.
REGISTRATION PROCESS
The registration process is extremely simple – visit the Hollis Morgan auction website and click on the “Register to Bid” button.
The “Register to Bid” button can be found on the auction home page or on the individual lot listings.
Please note this function is not available on Rightmove or Zoopla.
Stage 1 – Complete the Online Bidding Form
Stage 2 – Upload your certified ID
Stage 3 – Invitation to bid
Stage 4 – Pay your security deposit (£6,800)
You are now ready to bid – Good luck!
If your bid is successful, the balance of the deposit monies must be transferred to our client account within 24 hours of the auction sale.
If you are unsuccessful at the auction your holding deposit will be returned within 48 hours.
SURVEYS AND VALUATIONS
If you would like to arrange a survey or mortgage valuation of this Lot BEFORE the auction, please instruct your appointed surveyor to contact Hollis Morgan and we will arrange access for them to inspect the property. Please note that buyers CANNOT attend the surveys and the surveyors are responsible for collecting and returning keys to the Hollis Morgan offices in Clifton.
AUCTION FINANCE & BRIDGING LOANS
Some properties may require specialist auction finance- please contact Hollis Morgan for access to expert advice and whole of market rates from our independent brokers.
Hollis Morgan may receive introductory fees for this service from the broker.
AUCTION BUYER’S GUIDE VIDEO
We have short video guides for both buying and selling by Public Auction on the Hollis Morgan Website. If you have any further questions regarding the process, please don’t hesitate to contact Auction HQ.
2025 CHARITY OF THE YEAR
Hollis Morgan is supporting Uncle Pauls Chilli Charity empowering socially disadvantaged people with barriers to learning &/or disabilities based in Butcombe, North Somerset, our land overlooks the Mendip Hills and Blagdon lake. There are three main areas of focus at Uncle Paul’s Chilli Charity Education, Wellbeing and Social Prescribing – visit www.chillicharity.org.uk/ for more details or the Hollis Morgan Charity Page of our website.
AUCTION PROPERTY DETAILS DISCLAIMER
Hollis Morgan endeavour to make our sales details clear, accurate and reliable in line with the Consumer Protection from Unfair Trading Regulations 2008 but they should not be relied on as statements or representations of fact, and they do not constitute any part of an offer or contract. All Hollis Morgan references to planning, tenants, boundaries, potential development, tenure etc is to be superseded by the information contained in the legal pack. It should not be assumed that this property has all the necessary Planning, Building Regulation, or other consents. Any services, appliances and heating system(s) listed have not been checked or tested. Please note that in some instances the photographs may have been taken using a wide-angle lens. The seller does not make any representation or give any warranty in relation to the property, and we have no authority to do so on behalf of the seller.
Although these particulars are thought to be materially correct their accuracy cannot be guaranteed and they do not form part of any contract.
Property data and search facilities supplied by www.vebra.com