4 Willow Street
Oswestry
Shropshire
SY11 1AA
WITH NO ONWARD CHAIN!! Nestled in the picturesque area of Pen Y Garnedd, this stunning detached country cottage offers a unique opportunity for those seeking a tranquil rural lifestyle. Set within an impressive seven acres of land, the property is perfect for equestrian enthusiasts, featuring stabling facilities and kennels, making it an ideal home for both horses and livestock. The cottage boasts four spacious reception rooms, providing ample space for relaxation and entertaining. The charming interior is complemented by three well-appointed bedrooms, ensuring comfort for family and guests alike. With two modern bathrooms, convenience is at your fingertips. This beautiful property is rich in character and features, showcasing the best of country living while still being within reach of local amenities. The surrounding landscape offers breath taking views and a peaceful atmosphere, perfect for those who appreciate nature and outdoor activities. Whether you are looking to embrace a rural lifestyle or seeking a perfect equestrian property, this delightful cottage is sure to impress. With its extensive grounds and versatile outbuildings, the possibilities are endless. Do not miss the chance to make this exceptional property your new home.
From our Oswestry office take the Morda road (B5069) out of the town and turn right joining the A483. Continue along the A483 until reaching the Llynclys cross roads by the White Lion Pub. Turn right heading for Llangedwyn and Bala, continue along this road passing through the villages of Llangedwyn and Pentrefelin. Before reaching the village of Llanrhaeadr Ym Mochnant take a left hand fork signposted Penybontfawr and Llanfyllin. Folow this road for approximately 1 mile passing through the hamlet of Pedairffordd. On reaching the T juction turn left and head towards Penygarnedd. On entering the hamlet take the turning up the hill adjacent to the church yard. Follow this lane up for approximately ½ a mile where the property will be seen on the left hand side.
5.48m x 5.47m (17'11" x 17'11")The beautifully appointed spacious kitchen has newly fitted base and wall units in contrasting muted tones with oak worktops over and matching upstands, beamed ceiling, oak flooring, Belfast sink with a mixer tap over, plumbing for a dishwasher, space for a range cooker and space for an American fridge, Firebird oil boiler, central island unit with a breakfast bar, pantry unit off with fitted shelving, a window to the front and a stable door to the front leading out to the driveway.
A very versatile space having the stairs leading off to the first floor, oak flooring, school style radiator, beamed ceiling, and doors to the inner hallway and the games room. The hallway leads onto the kitchen.
3.41m x 5.72m (11'2" x 18'9")The cosy lounge has an oak floor, beamed ceiling, school style radiator, log burning stove on a slate hearth, built in cupboard with storage, stable door leading to the family room and French doors leading to the boot room. The lounge opens out onto the snug and hallway.
Having panelled walls, beamed ceiling and an oak floor, with doors leading to the ground floor bathroom, utility and family room.
1.82m x 2.75m (5'11" x 9'0")Having a beamed ceiling, oak floor, panelled and tiled walls, heated towel rail, jacuzzi bath with mains brass shower over and brass curtain pole, wash hand basin with mixer tap and a low level W/C.
There is a walk in pantry and store providing good storage.
4.94m x 2.81m (16'2" x 9'2")The utility has two windows to the rear, a window to the front with oak window sills, stable door to the rear leading onto the garden, fitted base and wall units with oak work tops, inset Belfast sink with brass mixer taps over, tiled flooring, spotlighting, Velux window, coat hooks and oak shelving. A door leads through to the cloakroom.
4.54m x 4.93m (14'10" x 16'2")A fantastic versatile space having bi-fold doors to the front leading out to the patio area, exposed stonework, two Velux windows, log burning stove and an Indian style floor with underfloor heating ready to be connected up.
5.07m x 4.92m (16'7" x 16'1")The family room is another great space having a tiled floor, vaulted ceiling, two velux windows, three windows to the front, a stable door to the front leading onto the garden and a focal Nordica range style stove.
5.35m x 3.25m (17'6" x 10'7")The boot room has a flagged floor, two windows to the rear onto the garden and French doors leading out.
6.00m x 2.28m (19'8" x 7'5")A great space ideal for a home office having two windows to the side with great views, vaulted ceiling, structural feature timbers and wood flooring. Doors lead off to the three bedrooms.
4.64m x 4.07m (15'2" x 13'4")A large double bedroom having a vaulted ceiling and structural timbers, a window to the front, a radiator, a built in walk in cupboard off and high level storage unit. A door leads to the en suite.
The en suite has a window to the side, corner bath with mixer taps over, low level W/C, wash hand basin, a radiator, a Triton electric shower over the bath, vinyl flooring, part tiled walls, built in cupboard and spotlighting.
1.83m x 3.53m (6'0" x 11'6")Having a window to the side, radiator, oak sill and fitted high level shelving with hanging rails.
3.55m x 4.02m (11'7" x 13'2")The second double bedroom has a window to the rear with great views, a window to the side, radiator, structural timbers and loft access.
Electric gates at the top of the driveway lead onto the property with the driveway providing extensive parking and turning area for several vehicles. There is an amenity are at the top of the yard with an open fronted barn and log storage area along with parking and hardstanding for a number of vehicles and machinery.
The yard area provides parking area for several vehicles and leads to the outbuildings and the fields.
8.51m x 5.62m (27'11" x 18'5")The block barn was a former stable and offers superb storage facilities for a variety of uses.
3.56m x 13.53m (11'8" x 44'4")The kennels have doors to both sides with ten separate kennel enclosures. There is an adjoining tack room/ store measuring 3.49m x 3.18m with a window to the front.
4.38m x 7.75m (14'4" x 25'5")A door leads through from the kennels to an adjoining store/ parking area that has doors leading onto the yard.
There are two open fronted stables located below the house with concrete hardstanding and rubber flooring. These buildings could be easily converted into enclosed stabling with the addition of a front wall and doors.
3.40m x 3.26m (11'1" x 10'8")There are four stables each measuring 3.40m x 3.26m, all of which open up to a concrete hard standing front with an adjoining open-front stable currently used as undercover parking area.
3.41m x 3.69m (11'2" x 12'1")This space could also be converted to an enclosed stable.
6.57m x 4.61m (21'6" x 15'1")To the far side of the tractor shed along with an open fronted muck pile.
To the far side of the tractor shed there is a former menage area and a lane leading to the fields with two horse shelters.
There is a further horse shelter and sheep shed that has formerly been used for lambing and has direct access to the fields.
4.38m x 17.5m (14'4" x 57'4")
To the left of the stables there is former horse walker currently used as pig sty. There is also a second former menage area to the side.
Below the property there is a large pond with chicken run and lower garden area.
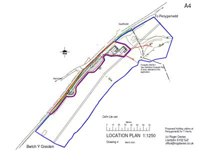
The land extends to around seven acres in total and has the benefit of planning permission for two pods/ chalets on the grounds with the potential to have five in total with its own road access. Details of the proposed development are available from the Powys planning department online.
For further details please see Powys Planning Application Website with the following reference; Application 20/0388/FUL.
We offer a FREE valuation/market appraisal service from a trained representative with strong market knowledge and experience - We are a professional, independent company - We provide elegant, clear and concise brochures - Fully accompanied Viewings Available with regular viewing feedback - Full Colour Photography, including professional aerial photography when required - Full Colour Advertising - Eye catching For Sale Boards - Up-to-date buyer registration with a full property matching service - Sound Local Knowledge and Experience - State of the Art Technology - Motivated Professional Staff - All properties advertised on www.rightmove.co.uk, Zoopla, Onthemarket.com - VERY COMPETITIVE FEES FOR SELLING.
Viewing is strictly by appointment, please call our sales office on 01691 679631 to arrange.
We understand the property is freehold, although purchasers must make their own enquiries via their solicitor.
The Council tax is payable to Powys County Council and we believe the property to be in Band E.
The agents have not tested the appliances listed in the particulars.
Our office is open:
Monday to Friday: 9.00am to 5.00pm
Saturday: 9.00am to 2.00pm
We would like to point out that all measurements, floor plans and photographs are for guidance purposes only (photographs may be taken with a wide angled/zoom lens), and dimensions, shapes and precise locations may differ to those set out in these sales particulars which are approximate and intended for guidance purposes only.
These particulars, whilst believed to be accurate are set out as a general outline only for guidance and do not constitute any part of an offer or contract. Intending purchasers should not rely on them as statements of representation of fact, but most satisfy themselves by inspection or otherwise as to their accuracy. No person in this firm's employment has the authority to make or give any representation or warranty in respect of the property.
Although these particulars are thought to be materially correct their accuracy cannot be guaranteed and they do not form part of any contract.
Property data and search facilities supplied by www.vebra.com