4-8 John Street
Llanelli
Carmarthenshire
SA15 1UH
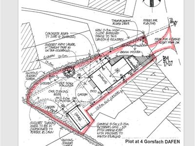
Davies Craddock are pleased to present this plot for sale in the convenient location of Gorsfach, Dafen. The plot is located set back from the road within walking distance of local amenities in the form of schools, shops, restaurants and other local businesses.
The plot comes with planning permission for a detached two storey dwelling and a detached single garage making this plot ideal for prospective developers.
All copies of plans can be viewed via application No: S/37107 through Carmarthenshire County Council. 
Enquiries and viewing bookings are welcome
Although these particulars are thought to be materially correct their accuracy cannot be guaranteed and they do not form part of any contract.
Property data and search facilities supplied by www.vebra.com