25 High Street
Wooler
Northumberland
NE71 6BU
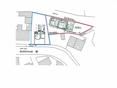
We are delight to bring to the market these attractive building plot, located near the centre of the popular Northumberland town of Wooler. The plot has previously had planning permission for two dwellings which has now lapsed. The purchaser may wish to build one dwelling or as previously obtain two separate dwellings. Previous designs and plans are available on request. Water and electricity are available on site. Sewerage main drainage is accessed from Church Street. Gas available from either side of the plot.
Notice of lapsed planning permission application numbers: 17/00928/FUL and 15/01642/FUL.
Although these particulars are thought to be materially correct their accuracy cannot be guaranteed and they do not form part of any contract.
Property data and search facilities supplied by www.vebra.com